Local Service Overview

Get Ants Extermination Service in Caddo Mills, TX

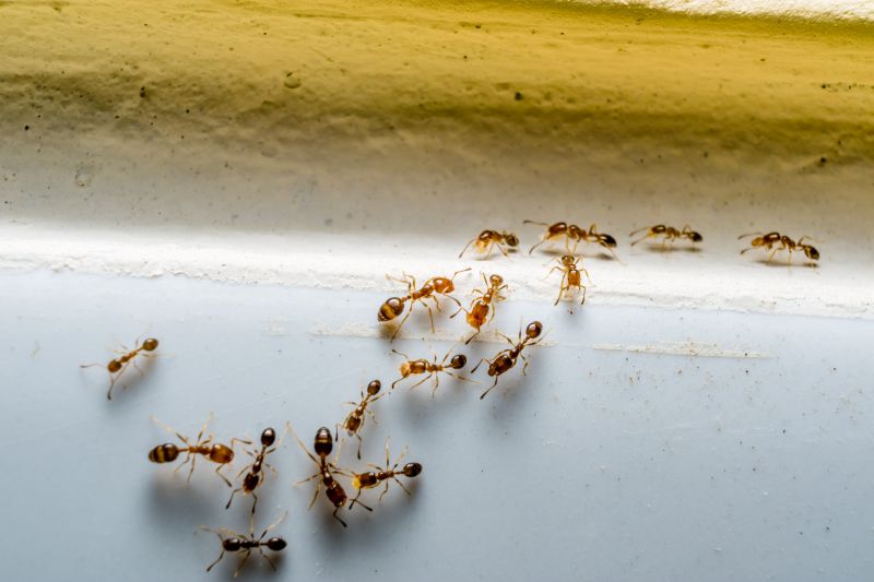
Ants extermination services for property owners in Caddo Mills, TX, and nearby areas address ant infestations, prevent future invasions, and handle residential and commercial pest control projects.

Caddo Mills, TX

Ants extermination services in Caddo Mills, TX, are essential for property owners seeking to maintain a comfortable and safe living environment. Ant infestations can compromise the functionality of a property by invading kitchens, pantries, and other areas, leading to potential contamination and discomfort. Professional extermination helps eliminate these pests efficiently, reducing the likelihood of recurring issues and minimizing the need for ongoing maintenance. This service also enhances curb appeal by preventing unsightly ant trails and damage caused by their activity, supporting a well-maintained appearance for homes and businesses alike.

Choosing expert ant control solutions offers long-term benefits such as increased durability of structural components and furnishings, which can be compromised by persistent pest activity. Property owners in Caddo Mills often look for effective methods that provide peace of mind, ensuring their spaces remain free of unwanted pests. Additionally, professional extermination can contribute to a more functional and inviting environment, allowing residents and visitors to enjoy the property without concern about ant-related disruptions or damage.

Get Ants Extermination Service Quotes

  • Ants Extermination - needed when ants invade kitchens, bathrooms, or other indoor spaces in residential or commercial properties.
  • Ants Extermination - required if ants are seen foraging around outdoor areas such as lawns, gardens, or building exteriors.
  • Ants Extermination - necessary when persistent ant colonies are discovered inside walls, under floors, or in hard-to-reach spots.
  • Ants Extermination - sought after when ant activity increases during warmer months or after recent construction or landscaping work.
  • Ants Extermination - appropriate when signs of ant nests or trails are observed near trash areas, food storage, or entry points around a property.

Get Ants Extermination Service Quotes

Ants Extermination Service
Ants Extermination Service
Ants Extermination Service

Ants extermination services involve professional treatments designed to eliminate ant colonies and prevent future infestations. These services typically include identifying the source of the ant problem, applying targeted insecticides, and implementing barrier methods to protect the property. The goal is to reduce the presence of ants indoors and outdoors, helping to restore a pest-free environment. Technicians may also provide advice on sanitation and structural issues that could be attracting ants, ensuring a comprehensive approach to pest management.

Ant infestations can cause various problems for property owners, including damage to structures, contamination of food supplies, and general discomfort. Certain species of ants, such as carpenter ants, can compromise wooden structures by tunneling and weakening the integrity of walls and furniture. Additionally, some ants can pose health risks by contaminating food or triggering allergic reactions. Professional extermination services help address these issues by effectively controlling and removing ant populations, reducing the risk of recurring problems.

Commercial properties, residential homes, and multi-unit dwellings frequently utilize ants extermination services. Homes with kitchens, food storage areas, or outdoor spaces are particularly vulnerable to ant invasions. Commercial establishments such as restaurants, grocery stores, and food processing facilities often require regular pest control to maintain hygiene standards and comply with health regulations. Multi-family residences, including apartment complexes and condominiums, also benefit from professional treatments to manage ant populations across multiple units and shared common areas.

Professional ant extermination services are essential for maintaining a pest-free environment and protecting property value. Local pest control providers offer tailored solutions to suit different property types and severity levels of infestations. By addressing ant problems promptly and effectively, these services help prevent property damage, food contamination, and ongoing nuisances. Contacting a local pest control expert can provide the necessary support to manage and eliminate ant issues efficiently.

The overview below groups typical Ants Extermination Service projects into broad ranges so you can see how smaller, mid-sized, and larger jobs often compare in Caddo Mills, TX.

In many markets, a large share of routine jobs stays in the lower and middle ranges, while only a smaller percentage of projects moves into the highest bands when the work is more complex or site conditions are harder than average.

Per-Visit Cost - Ant extermination services typically range from $100 to $300 per visit, depending on the extent of the ant infestation and property size. For example, a small home in Caddo Mills might cost around $150 for a single treatment.

Initial Treatment Cost - The initial ant extermination often costs between $200 and $500, covering inspection and comprehensive treatment. Larger properties or severe infestations may be at the higher end of this range.

Monthly or Ongoing Services - Some service providers offer monthly or quarterly treatments, which can cost between $50 and $150 per visit. These plans are suitable for ongoing prevention and control in high-risk areas.

Barrier or Spot Treatments - Spot treatments for specific ant nests or entry points generally cost between $75 and $200 per application, depending on the number of sites and complexity of the treatment needed.

Actual totals will depend on details like access to the work area, the scope of the project, and the materials selected, so use these as general starting points rather than exact figures.

Get an Ants Extermination Service Quote

Ants Extermination - Local pest control providers offer specialized services to eliminate ant infestations in residential and commercial properties. They assess the extent of the problem and implement targeted treatment solutions.

Ants Prevention - Service providers can advise on and implement measures to prevent future ant invasions, including sealing entry points and removing attractants around the property.

Eco-Friendly Ant Control - Some local pros utilize environmentally conscious methods and products to manage ant populations while minimizing impact on surroundings.

Ants Inspection Services - Professionals conduct thorough inspections to identify ant colonies and entry points, helping to develop effective extermination strategies.

Commercial Ant Control - Business-focused pest control services are available to address ant issues in office buildings, warehouses, and other commercial spaces.

Emergency Ant Extermination - Rapid-response services are offered by local experts for urgent ant infestations that require immediate attention.

Ants Extermination Service

Ants extermination services provided by local professionals in Caddo Mills, TX, can vary widely in terms of experience and expertise. When comparing options, it’s helpful to consider how long a service provider has been operating in the area and their familiarity with local ant species and common infestations. Reputable pros often have a track record of handling similar cases, which can be an indicator of their ability to deliver effective solutions. Gathering information about their background and the scope of their experience can assist homeowners in making informed decisions.

Clear communication and well-defined expectations are key when selecting an ant extermination service. Pros that provide written descriptions of their process, what homeowners can expect during and after treatment, and any necessary follow-up steps help ensure transparency. Establishing a mutual understanding of the scope of work can prevent misunderstandings and foster confidence in the service provider’s approach. Homeowners should seek out professionals who are willing to discuss their methods openly and provide detailed information upfront.

Reputable references and reviews from other clients can serve as valuable indicators of a local extermination professional’s reliability. Homeowners are encouraged to inquire about past customer experiences and seek recommendations within the community. Consistent, positive feedback often reflects a provider’s professionalism and effectiveness. Additionally, good communication skills-such as responsiveness and clarity-are important qualities in a service provider, helping ensure that homeowners feel comfortable and well-informed throughout the process.

Get an Ants Extermination Service Quote

Property owners in Caddo Mills, TX use Ants Extermination Service services for practical projects around their homes and businesses. The sections below highlight everyday jobs and straightforward project options.

Ants Extermination Service
Ants Extermination Service

Ants Extermination Service providers in Caddo Mills, TX are often sought after for common household concerns, such as discovering ant trails in kitchens or around entry points. Property owners may look for professional assistance to effectively eliminate ant colonies that threaten to invade living spaces or contaminate food supplies. These services are also useful for preventing future infestations, especially during warmer months when ants are more active and likely to seek shelter indoors.

In addition to residential properties, commercial spaces in Caddo Mills may require ant extermination to maintain a clean and pest-free environment. Business owners might seek expert help after noticing ant activity in storage areas, restaurants, or retail spaces, where even small infestations can impact operations. Local pest control providers can offer tailored solutions to address specific property needs, helping to keep spaces ant-free and ensuring a comfortable, pest-free environment for occupants.

Get an Ants Extermination Service Quote

How do ant extermination services work? Ant extermination services typically involve identifying ant species and nesting sites, followed by targeted treatments using baits, sprays, or dusts to eliminate colonies and prevent future infestations.

Are ant treatments safe for pets and children? Most professional ant extermination methods are designed to be safe when applied by experienced technicians, but it is recommended to discuss any concerns with the service provider before treatment.

How long does an ant extermination treatment take? The duration of treatment varies depending on the extent of the infestation, but most services can be completed within a few hours, with some treatments requiring follow-up visits.

Will the ants come back after treatment? While treatments aim to eliminate existing colonies, ants may return if new food sources or entry points are available; ongoing prevention measures are often advised.

How can I prepare my home for ant extermination services? Preparation may include cleaning to remove food residues, clearing access to affected areas, and following any specific instructions provided by the service provider to ensure effective treatment.

Ants Extermination Techniques - Local service providers use a variety of methods including baiting, trapping, and residual treatments to eliminate ant infestations effectively.

Identifying Ant Species - Pros can help identify the specific type of ants present to determine the most effective extermination approach.

Preventive Ant Control - Experts offer advice and treatments to reduce the likelihood of future ant problems around residential and commercial properties.

Emergency Ant Extermination Services - Immediate response options are available for severe ant infestations that require prompt attention.

Ants Extermination Service

Considering Ants Extermination Service for a property in Caddo Mills, TX? The sections above highlight common project types, practical options, and details that often shape the scope of work.

When you are ready, use the quote form to share a few details about your project. Local pros can review the basics and respond with options that match what you have in mind.

Get an Ants Extermination Service Quote

Ants Extermination Quotes

Our Trusted Partners
Cantu Pest Control
Orkin
Hawx Pest Control