Local Service Overview

Get Ants Extermination Service in Royse City, TX

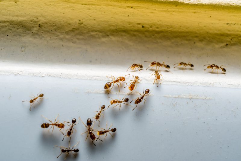
Ants extermination services for property owners in Royse City, TX, and nearby areas address ant infestations, prevent future invasions, and handle residential and commercial pest control projects.

Royse City, TX

Ants extermination services are essential for property owners in Royse City, TX seeking to maintain a comfortable and safe living or working environment. Infestations can disrupt daily routines, compromise hygiene, and cause property damage, making prompt and effective removal a practical priority. Professional exterminators utilize targeted methods to eliminate ant colonies, reducing the likelihood of recurring issues and helping to preserve the functionality and durability of structures.

Engaging with local ant extermination providers also offers benefits such as enhanced curb appeal and reduced maintenance needs. A pest-free property not only looks more inviting but also minimizes the risk of damage caused by ants and other pests. By addressing infestations efficiently, property owners can enjoy peace of mind, knowing their spaces are safer and more comfortable for residents, employees, or visitors.

Get Ants Extermination Service Quotes

  • Ants Extermination - needed when ants invade homes or businesses in Royse City, TX and surrounding areas.
  • Ants Extermination - required if ants are found nesting in outdoor environments like gardens or lawns nearby.
  • Ants Extermination - necessary when ant trails are observed inside residential or commercial spaces in the region.
  • Ants Extermination - sought after for preventing ant infestations in kitchens, pantries, or food storage areas.
  • Ants Extermination - essential when dealing with recurring ant problems that persist despite basic cleaning efforts.

Get Ants Extermination Service Quotes

Ants Extermination Service
Ants Extermination Service
Ants Extermination Service

Ants extermination services involve professional treatments designed to eliminate ant infestations within residential, commercial, or industrial properties. These services typically include inspection to identify the extent of the ant problem, followed by targeted application of pest control solutions. The goal is to reduce or eradicate the ant colonies causing issues, often using specialized baits, dusts, or liquid treatments that are safe for indoor and outdoor environments. Pest control providers may also offer advice on preventing future infestations through property modifications or ongoing monitoring.

Ant infestations can lead to various problems, including property damage, contamination of food supplies, and general nuisance. Certain ant species, such as carpenter ants, are known to damage wooden structures, compromising the integrity of buildings over time. Additionally, ants can invade kitchens, pantries, and other food storage areas, leading to hygiene concerns. Exterminators address these issues by targeting the source of the infestation, reducing the likelihood of recurring problems, and helping property owners maintain a clean and safe environment.

Properties that commonly utilize ants extermination services include single-family homes, apartment complexes, restaurants, and retail stores. Residential properties often seek pest control to protect food supplies and prevent structural damage caused by carpenter ants. Commercial establishments, especially those involved in food preparation or storage, rely on pest management to meet health and safety standards. Additionally, property managers of multi-unit buildings may coordinate regular pest control to manage ant populations across multiple units and common areas.

Professional ant extermination services are tailored to the specific needs of each property type, considering factors such as the severity of the infestation, property layout, and potential entry points for ants. Service providers typically conduct thorough inspections to identify ant trails, nests, and entry points, then implement customized treatment plans. Ongoing maintenance or preventative measures may be recommended to keep ant populations under control and avoid future infestations, ensuring properties remain pest-free and comfortable.

The overview below groups typical Ants Extermination Service projects into broad ranges so you can see how smaller, mid-sized, and larger jobs often compare in Royse City, TX.

In many markets, a large share of routine jobs stays in the lower and middle ranges, while only a smaller percentage of projects moves into the highest bands when the work is more complex or site conditions are harder than average.

Per-Visit Treatment - The cost for a single ant extermination visit typically ranges from $150 to $300, depending on the extent of the infestation and property size. Some providers may charge around $200 for a standard residential treatment in Royse City, TX.

Initial Inspection and Treatment - Comprehensive inspections with initial treatments often cost between $250 and $500. Larger properties or severe infestations may incur higher fees, averaging around $350.

Ongoing Pest Management - Monthly or quarterly ant control plans usually range from $50 to $150 per visit, with annual contracts averaging $600 to $1,800. These plans often include regular treatments and inspections.

Per-Quadrant or Per-Area Pricing - Some service providers charge based on specific areas, with prices typically between $100 and $250 per quadrant or zone. Costs vary depending on the number of zones and treatment complexity.

Actual totals will depend on details like access to the work area, the scope of the project, and the materials selected, so use these as general starting points rather than exact figures.

Get an Ants Extermination Service Quote

Ants Extermination services involve professionals who identify ant colonies and implement targeted treatments to eliminate infestations effectively.

Local ant control experts provide solutions tailored to residential and commercial properties in Royse City, TX, and nearby areas.

These services often include inspection, baiting, and environmentally safe application methods to manage ant populations.

Ants extermination providers can address a variety of ant species commonly found in the region, ensuring comprehensive pest control.

Professionals may also offer advice on preventing future ant problems through property management tips.

Contacting local ant extermination specialists can help restore comfort and safety to affected spaces efficiently.

Ants Extermination Service

When comparing local pros for ant extermination services, experience is a key factor to consider. Homeowners should look for service providers with a proven track record in handling ant infestations similar to their specific situation. Reputable local pros often highlight their years of service in the community and their familiarity with common ant species and effective treatment methods. Gathering information about their background can help homeowners feel more confident in choosing a provider who understands the unique challenges of pest control in their area.

Clear communication and written expectations are essential when selecting an ant extermination service. Reliable local providers typically offer detailed explanations of their treatment approach, what homeowners can expect during and after the service, and any necessary follow-up procedures. Having these details in writing helps ensure transparency and aligns expectations, reducing misunderstandings. Homeowners should seek professionals who are willing to answer questions thoroughly and provide comprehensive information about the process.

Reputable references and reviews from other homeowners can provide valuable insights into the quality of local pros for ant control. Potential clients are encouraged to seek out testimonials or ask for references to verify a provider’s reliability and effectiveness. Additionally, reputable service providers maintain open lines of communication, making it easy for homeowners to contact them with questions or concerns before, during, and after treatment. Since the site introduces local options rather than performing the work itself, homeowners are advised to evaluate these aspects carefully to find a trusted partner for ant extermination needs.

Get an Ants Extermination Service Quote

Property owners in Royse City, TX use Ants Extermination Service services for practical projects around their homes and businesses. The sections below highlight everyday jobs and straightforward project options.

Ants Extermination Service
Ants Extermination Service

Ants extermination services are often sought by property owners in Royse City, TX dealing with persistent ant infestations that disrupt daily life. Common situations include discovering large colonies inside kitchens, along baseboards, or in outdoor areas like gardens and patios. Property owners may look for professional assistance to eliminate these pests effectively and prevent future invasions, especially when DIY methods prove ineffective or temporary.

In addition to interior concerns, outdoor ant problems such as mounds or trails near the home’s foundation can pose challenges for residents and business owners alike. Ants can invade food storage areas or create unsightly mounds that affect curb appeal. Local service providers offer targeted solutions to address these issues, helping property owners maintain a clean and pest-free environment around their homes and businesses.

Get an Ants Extermination Service Quote

How do ant extermination services work? Ant extermination services typically involve inspecting the property, identifying ant species and entry points, and applying targeted treatments to eliminate colonies and prevent future infestations.

Are ant treatments safe for pets and children? Many ant extermination methods are designed to be safe for homes with pets and children; it is recommended to discuss safety concerns with local service providers before treatment.

How long does an ant extermination treatment last? The duration of effectiveness varies depending on the treatment method and severity of the infestation, with some services offering ongoing prevention options.

What types of ants can be treated? Local pros can address a variety of ant species, including common household ants, fire ants, and carpenter ants, among others.

How can I prevent future ant problems? Preventative tips include sealing entry points, maintaining cleanliness, and scheduling regular inspections with local pest control providers.

Ants Extermination Solutions - Local service providers offer targeted treatments to eliminate ant infestations in residential and commercial properties.

Inspection and Identification - Professionals can assess property conditions to identify ant species and determine the most effective extermination methods.

Preventive Pest Control - Service providers can implement strategies to reduce the likelihood of future ant problems through barrier treatments and habitat modification.

Customized Treatment Plans - Local experts develop tailored approaches based on the extent of ant activity and specific property needs.

Ants Extermination Service

Considering Ants Extermination Service for a property in Royse City, TX? The sections above highlight common project types, practical options, and details that often shape the scope of work.

When you are ready, use the quote form to share a few details about your project. Local pros can review the basics and respond with options that match what you have in mind.

Get an Ants Extermination Service Quote

Ants Extermination Quotes

Our Trusted Partners
Cantu Pest Control
Orkin
Hawx Pest Control