Local Service Overview

Get Ants Extermination Service in Trenton, TX

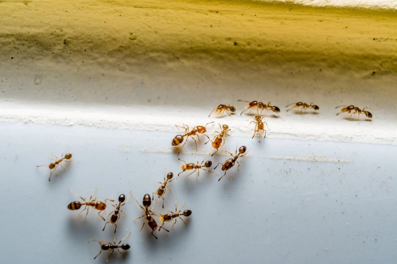
Ants extermination services for property owners in Trenton, TX, address ant infestations, prevent future invasions, and handle residential and commercial pest control projects.

Trenton, TX

Ants extermination services provide property owners in Trenton, TX with an effective solution to manage and eliminate ant infestations. These services help maintain a comfortable living or working environment by preventing the nuisance and potential damage caused by ants. Additionally, professional extermination can enhance the safety of a property by reducing the risk of ant-related health concerns and preventing the spread of bacteria that ants may carry.

Choosing expert ant control also supports the functionality and durability of a property’s structure. Regular treatment can reduce the likelihood of ant nests causing damage to foundations, walls, and electrical systems. Moreover, a well-maintained exterior free of ants can improve curb appeal and minimize ongoing maintenance needs, helping property owners preserve the appearance and value of their property in Trenton, TX.

Get Ants Extermination Service Quotes

  • Ants Infestation Removal - needed when ants invade kitchens, pantries, or living spaces in residential or commercial properties.
  • Ant Control for Businesses - required when commercial establishments in Trenton, TX, experience recurring ant problems affecting operations.
  • Outdoor Ant Prevention - advised for homeowners seeking to protect gardens, lawns, and outdoor living areas from ant colonies.
  • Persistent Ant Problems - addressed when ant activity continues despite initial treatments, indicating a need for professional intervention.
  • Seasonal Ant Treatments - recommended during peak ant activity periods to prevent infestations in nearby neighborhoods and communities.

Get Ants Extermination Service Quotes

Ants Extermination Service
Ants Extermination Service
Ants Extermination Service

Ants extermination services involve identifying and eliminating ant infestations within residential, commercial, or industrial properties. Professionals typically conduct a thorough inspection to locate ant colonies and entry points, followed by targeted treatments to eradicate the pests. These services often utilize a combination of baiting, liquid insecticides, and dust formulations to ensure effective control. The goal is to remove existing ant populations and prevent future invasions, helping property owners maintain a pest-free environment.

Ant infestations can cause various problems, including damage to structures, contamination of food supplies, and general discomfort for occupants. Certain species, such as carpenter ants, are known to cause structural damage by burrowing into wood, while others may invade kitchens and pantries, leading to hygiene concerns. Ants can also be a nuisance, creating unsightly trails and colonies that disrupt daily activities. Professional extermination services address these issues by targeting the source of the infestation and implementing ongoing prevention strategies.

Properties that typically utilize ants extermination services include homes, apartment complexes, restaurants, and retail establishments. Residential properties often seek help to eliminate ant colonies that have invaded kitchens, bathrooms, or yards. Commercial properties, especially food service businesses, require regular pest control to meet health standards and prevent infestations from affecting operations. Additionally, warehouses and storage facilities that contain food products or other attractants might also engage pest control providers to manage ant populations and safeguard inventory.

Engaging a local pest control service for ants extermination offers a tailored approach to managing infestations based on the specific property and ant species involved. These professionals assess the severity of the problem and recommend appropriate treatment plans to effectively eliminate ants. Regular inspections and maintenance services can also be part of ongoing pest management efforts, helping property owners maintain a pest-free space. Contacting a local expert ensures that the approach is suited to the property’s unique needs and local pest conditions.

The overview below groups typical Ants Extermination Service projects into broad ranges so you can see how smaller, mid-sized, and larger jobs often compare in Trenton, TX.

In many markets, a large share of routine jobs stays in the lower and middle ranges, while only a smaller percentage of projects moves into the highest bands when the work is more complex or site conditions are harder than average.

Initial Inspection - The cost for an ant inspection typically ranges from $50 to $150, depending on property size and complexity. This fee often covers a thorough assessment of ant activity and entry points.

Basic Treatment - A standard ant extermination treatment usually costs between $100 and $300. The price varies based on the extent of the infestation and the treatment method used.

Multiple Treatments - For ongoing or severe ant problems, multiple treatments may be necessary, with costs ranging from $200 to $500. These costs reflect additional visits and targeted application efforts.

Preventive Services - Preventive ant control services generally cost between $150 and $400. This includes barrier treatments around the property to reduce future ant invasions.

Actual totals will depend on details like access to the work area, the scope of the project, and the materials selected, so use these as general starting points rather than exact figures.

Get an Ants Extermination Service Quote

Ants Extermination - Local pest control providers offer specialized services to eliminate ant infestations in residential and commercial properties in Trenton, TX and nearby areas.

Ant Control Treatments - Service providers utilize various treatment methods to effectively reduce and prevent ant populations inside and around structures.

Barrier and Prevention Services - Professionals apply barrier treatments and offer advice on sanitation practices to help keep ants from returning.

Indoor Ant Removal - Local pros identify ant entry points and apply targeted solutions to remove ants from indoor spaces efficiently.

Outdoor Ant Management - Providers treat outdoor nests and surrounding areas to control ant colonies and prevent future invasions.

Ant Inspection Services - Experts conduct thorough inspections to locate ant nests and determine the extent of an infestation for effective treatment planning.

Ants Extermination Service

When selecting a professional for ant extermination services, experience is an important factor to consider. Local pest control providers often have extensive knowledge of the specific ant species common to the area, along with familiarity with local environments and conditions. This background can contribute to more effective treatment strategies. Homeowners are encouraged to review the backgrounds of different providers to understand their level of expertise and whether they have handled similar cases in the past.

Clear communication and well-defined expectations are essential when working with a pest control service. Reputable local contractors typically provide detailed descriptions of their services, including the methods they use and any preparations homeowners should make beforehand. Establishing open lines of communication can help ensure that homeowners understand the scope of work and feel comfortable asking questions or addressing concerns throughout the process.

References and reputation are key indicators of a service provider’s reliability. Homeowners can seek out local pros with positive references from previous clients or reviews that highlight consistent quality and professionalism. While the site introduces local options, it is important to remember that it is a lead-generation resource and not a direct contractor. Connecting with reputable local providers allows homeowners to compare their experience, communication style, and references to find the most suitable professional for ant extermination needs.

Get an Ants Extermination Service Quote

Property owners in Trenton, TX use Ants Extermination Service services for practical projects around their homes and businesses. The sections below highlight everyday jobs and straightforward project options.

Ants Extermination Service
Ants Extermination Service

Ants extermination services are commonly sought by property owners in Trenton, TX, facing persistent ant invasions in residential or commercial spaces. Ants can quickly become a nuisance, especially when they invade kitchens, pantries, or outdoor areas, making daily activities inconvenient. Local service providers offer targeted treatments to eliminate existing colonies and help prevent future infestations, providing peace of mind for property owners dealing with these unwanted pests.

In addition to immediate elimination, property owners might look for ants extermination to address recurring problems caused by ant colonies nesting in lawns, foundations, or wall voids. These services are often requested when ants threaten to damage property or compromise hygiene standards. Local professionals can assess the situation and recommend appropriate solutions to maintain a pest-free environment in homes and businesses throughout Trenton, TX.

Get an Ants Extermination Service Quote

How do ant extermination services work? Ant extermination services typically involve identifying ant species, locating nests, and applying targeted treatments to eliminate colonies and prevent future infestations.

Are ant extermination treatments safe for pets and children? Most professional ant treatments are designed to be safe when applied properly; however, it is recommended to discuss safety concerns with the service provider before treatment.

How long does an ant extermination service usually take? The duration of an ant extermination service varies depending on the extent of the infestation, but many treatments can be completed within a few hours.

Will I need multiple treatments for a persistent ant problem? Some ant infestations may require multiple treatments to fully eradicate colonies and prevent re-infestation, depending on the severity and species involved.

How can I prevent future ant problems? Preventative measures include keeping areas clean, sealing entry points, and consulting with local pros about ongoing pest management strategies.

Ants Extermination Solutions - Local service providers offer targeted treatments to eliminate ant infestations effectively.

Inspection and Identification - Professionals can assess property conditions to identify ant entry points and nesting areas.

Preventative Strategies - Experts recommend ongoing measures to reduce the likelihood of future ant problems.

Customized Pest Control Plans - Service providers develop tailored approaches based on the specific ant species and property needs.

Ants Extermination Service

Considering Ants Extermination Service for a property in Trenton, TX? The sections above highlight common project types, practical options, and details that often shape the scope of work.

When you are ready, use the quote form to share a few details about your project. Local pros can review the basics and respond with options that match what you have in mind.

Get an Ants Extermination Service Quote

Ants Extermination Quotes

Our Trusted Partners
Cantu Pest Control
Orkin
Hawx Pest Control