Local Service Overview

Get Ants Extermination Service in Rockwall County, TX

Ants extermination services for property owners in Rockwall County, TX, address ant infestations, prevent future invasions, and handle residential or commercial pest control projects.

Rockwall County, TX

Ants extermination services are essential for property owners in Rockwall County, TX seeking to maintain a comfortable and safe living environment. Effective removal efforts help prevent ant infestations from disrupting daily routines, damaging structures, or contaminating food supplies. By addressing these pests promptly, property owners can enjoy increased peace of mind, knowing their homes and businesses are protected from potential health risks and property damage caused by persistent ant colonies.

Choosing professional ant extermination services offers numerous benefits, including enhanced property functionality and curb appeal. Proper pest control reduces the likelihood of recurring infestations, which can lead to decreased maintenance needs and long-term durability of building structures. Maintaining a pest-free environment also contributes to a more inviting appearance for homes and commercial properties, supporting overall property value and aesthetic appeal in the community.

Get Ants Extermination Service Quotes

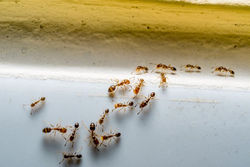
  • Ants Extermination Services are needed when homeowners notice ant trails or nests inside or around their property.
  • Residential properties in areas like Rockwall County, TX, and nearby communities may require ant control during warmer months.
  • Commercial establishments experiencing ant infestations can benefit from professional extermination to maintain hygiene standards.
  • Properties with previous pest issues might seek ongoing ant management services to prevent future invasions.
  • Ant control services are essential when ants threaten food safety or cause structural damage in both homes and businesses.

Get Ants Extermination Service Quotes

Ants Extermination Service
Ants Extermination Service
Ants Extermination Service

Ants extermination services involve professional treatment methods aimed at eliminating ant infestations from residential, commercial, and industrial properties. Service providers typically assess the extent of the ant problem, identify the species involved, and apply targeted solutions to eradicate the colonies. These treatments may include the use of baits, insecticides, or barriers designed to prevent ants from entering the property or to eliminate existing nests. The goal is to reduce or eliminate ant populations effectively, helping property owners regain control over their indoor and outdoor spaces.

Ant infestations can cause various problems for property owners, including damage to structures, contamination of food supplies, and general nuisance. Certain ant species, such as fire ants or carpenter ants, are known to cause specific issues-fire ants can bite or sting, while carpenter ants may weaken wooden structures by nesting within them. Addressing these problems promptly through professional extermination services can prevent further damage and reduce health or safety risks associated with ant bites or allergic reactions.

Properties that commonly utilize ants extermination services include single-family homes, apartment complexes, restaurants, and commercial buildings. Residential properties often seek treatment to protect food storage areas, gardens, and indoor living spaces from ant incursions. Commercial establishments, especially those involved in food preparation or storage, prioritize pest control to maintain hygiene standards and comply with health regulations. Additionally, property managers of multi-unit complexes may coordinate regular pest control services to manage ant populations across multiple units or common areas.

Professional ant extermination services often involve comprehensive treatment plans tailored to the specific property and infestation level. Service providers may implement preventative measures alongside eradication efforts to minimize future ant activity. These services are designed to address the root causes of infestations, such as identifying and treating nesting sites or entry points. Whether for a small residential property or a large commercial facility, local pest control providers offer solutions that aim to effectively manage ant problems and help maintain a pest-free environment.

The overview below groups typical Ants Extermination Service projects into broad ranges so you can see how smaller, mid-sized, and larger jobs often compare in Rockwall County, TX.

In many markets, a large share of routine jobs stays in the lower and middle ranges, while only a smaller percentage of projects moves into the highest bands when the work is more complex or site conditions are harder than average.

Per-Visit Cost - Typical costs for a one-time ant extermination service range from $100 to $300, depending on the extent of the infestation and property size. Smaller homes may be on the lower end, while larger properties could be at the higher end of this range.

Monthly Treatment Plans - Ongoing ant control programs usually cost between $50 and $150 per month. These plans often include regular inspections and treatments to prevent future infestations.

Initial Inspection Fees - Some service providers charge an initial inspection fee that can vary from $50 to $200. This fee may be credited toward treatment costs if services are scheduled afterward.

Area-Specific Pricing - Costs can vary based on location, with services in Rockwall County, TX, typically falling within $150 to $400 for comprehensive ant extermination. Factors such as property size and ant species influence the final price.

Actual totals will depend on details like access to the work area, the scope of the project, and the materials selected, so use these as general starting points rather than exact figures.

Get an Ants Extermination Service Quote

Ants Extermination services involve professionals who specialize in identifying and eliminating ant colonies within residential or commercial properties in Rockwall County, TX and nearby areas.

Local ant control contractors use targeted treatment methods to remove existing ant infestations and prevent future re-invasions.

Expert ant exterminators assess the extent of an infestation to determine the most effective approach for each property type.

Services include the application of ant baits, barriers, and residual treatments tailored to the specific species and environment.

Professionals also offer advice on reducing attractants and sealing entry points to minimize ant activity around properties.

Contacting local ant extermination providers ensures access to experienced specialists equipped to handle various ant species and infestation levels.

Ants Extermination Service

When evaluating ant extermination services, experience is a key factor to consider. Local pros in Rockwall County and nearby areas often have a proven track record of handling ant infestations specific to the region’s environment. By reviewing a contractor’s history, homeowners can gain insight into their familiarity with local ant species and effective treatment methods. Reputable service providers typically have a history of successful interventions, which can be verified through references or industry reputation, helping to ensure that the chosen professional is capable of managing the scope of the infestation effectively.

Clear communication and written expectations are essential when working with ant extermination specialists. Homeowners should seek service providers who offer detailed explanations of their treatment processes, including the methods used and any necessary preparations. Establishing transparent expectations helps prevent misunderstandings and ensures that both parties agree on the scope of work. Reputable local pros often provide written estimates or service agreements, which outline the services provided, costs, and any follow-up procedures, fostering a professional relationship built on clarity and trust.

References and reputation are valuable indicators of a contractor’s reliability. Homeowners are encouraged to seek out local pros with positive reviews or recommendations from previous clients. Reputable service providers often have a history of satisfied customers, which can be confirmed through references or online review platforms. Effective communication is also vital; pros who are responsive, approachable, and willing to answer questions can make the process smoother. Connecting with local ant extermination specialists through a trusted lead-generation platform ensures access to qualified professionals who meet these standards, helping homeowners find the right service provider for their needs.

Get an Ants Extermination Service Quote

Property owners in Rockwall County, TX use Ants Extermination Service services for practical projects around their homes and businesses. The sections below highlight everyday jobs and straightforward project options.

Ants Extermination Service
Ants Extermination Service

Ants Extermination Services are commonly sought by property owners in Rockwall County, TX, when they notice persistent ant activity around their homes or businesses. Common situations include encountering ant trails along walls, entry points around windows and doors, or finding nests in gardens and yard areas. These issues can disrupt daily routines and pose concerns about hygiene, prompting residents to seek professional assistance to eliminate the infestation effectively.

Additionally, property owners often look for ant extermination services when planning outdoor events or preparing for seasonal changes, as increased ant activity can become more noticeable during warmer months. Preventative treatments are also requested to reduce the likelihood of future invasions, especially in properties with ongoing issues or previous infestations. Connecting with experienced local service providers can help address these common ant-related concerns efficiently.

Get an Ants Extermination Service Quote

How do ant extermination services work? Ant extermination services typically involve inspecting the property to identify ant colonies and entry points, then applying targeted treatments to eliminate existing ants and prevent future infestations.

Are ant extermination treatments safe for pets and children? Many professional treatments are designed to be safe when applied properly; however, it’s recommended to discuss safety concerns with the service provider during contact.

How long does an ant extermination treatment last? The duration of effectiveness varies depending on the treatment method and the severity of the infestation; a local service provider can provide guidance based on specific circumstances.

Will I need multiple visits for ant control? Some infestations may require more than one treatment or follow-up visits to fully eliminate all ants and prevent re-infestation, as advised by the service provider.

How can I prevent future ant problems? Professional exterminators often recommend ongoing maintenance, sealing entry points, and removing food and water sources to help prevent future ant issues.

Ants Inspection and Identification - Local pest control professionals can assess the extent of ant infestations and identify the species involved to determine the most effective treatment options.

Customized Ant Extermination Plans - Service providers offer tailored treatment strategies designed to target ant colonies and prevent future invasions.

Barrier and Bait Treatments - Experts may implement baiting systems and barrier methods to control ant populations around residential and commercial properties.

Ongoing Pest Management Support - Professionals can provide advice and follow-up services to maintain ant-free environments and address new activity promptly.

Ants Extermination Service

Considering Ants Extermination Service for a property in Rockwall County, TX? The sections above highlight common project types, practical options, and details that often shape the scope of work.

When you are ready, use the quote form to share a few details about your project. Local pros can review the basics and respond with options that match what you have in mind.

Get an Ants Extermination Service Quote

Ants Extermination Quotes

Our Trusted Partners
Cantu Pest Control
Orkin
Hawx Pest Control